Sieć wodociągowa rozdzielcza z przyłączami w miejscowości Młynarze; Gierwaty; Ochenki; Długołęka Koski; Długołęka Wielka; Rupin; Głażewo Święszki; Załęże Ponikiewka gm. Młynarze
Dokumantacja projektowa:
projekt technologiczny
- przejście wodociągiem pod drogą utwardzoną
- zabudowa wodomierza
- opis techniczny do projektu budowlanego
- przejście pod rzeką
- schemat uzbrojenia węzłów
projekt zagospodarowania
- rys. nr 1
- rys. nr 2
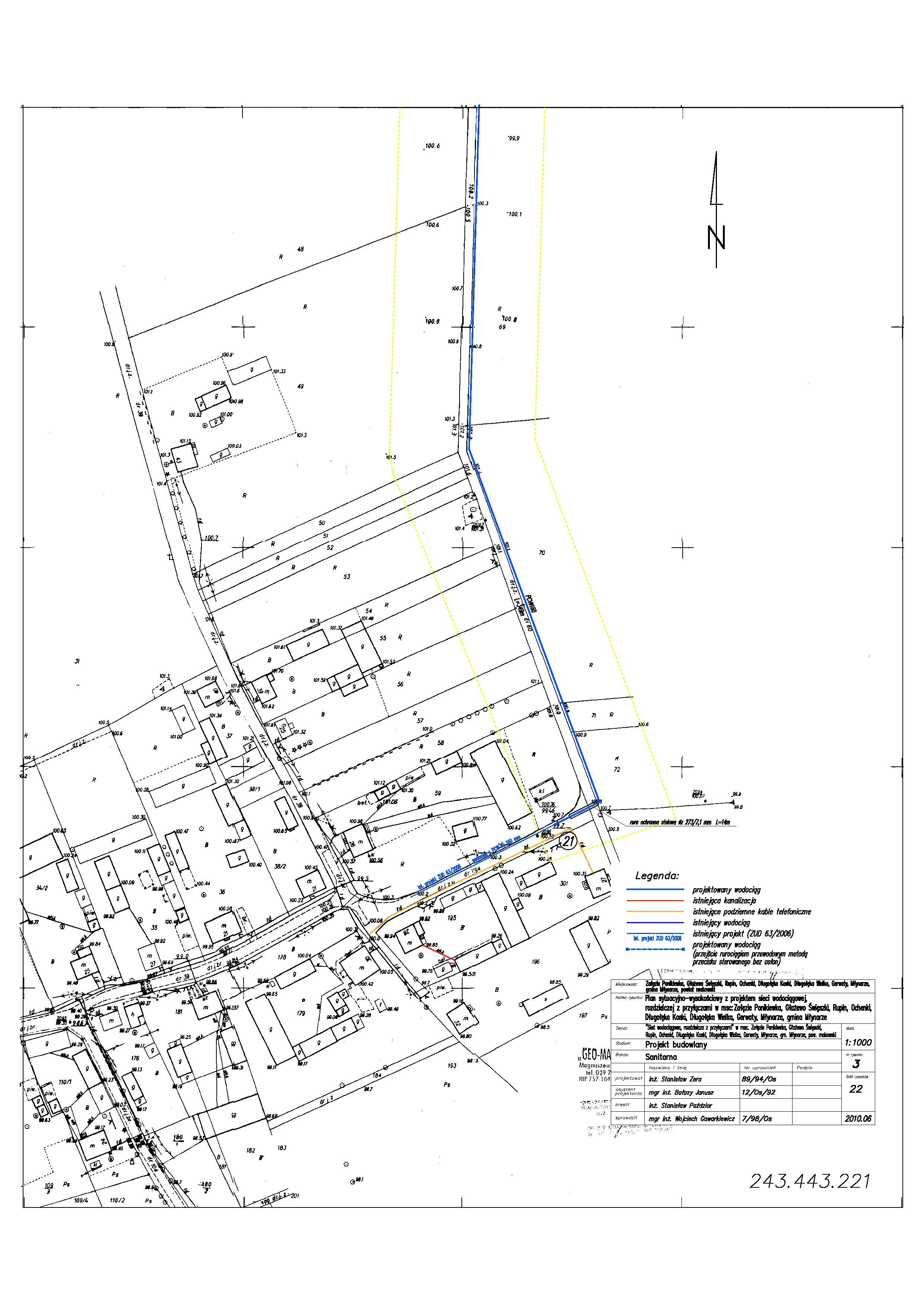
- rys. nr 3
- rys. nr 4
- rys. nr 5
- rys. nr 6
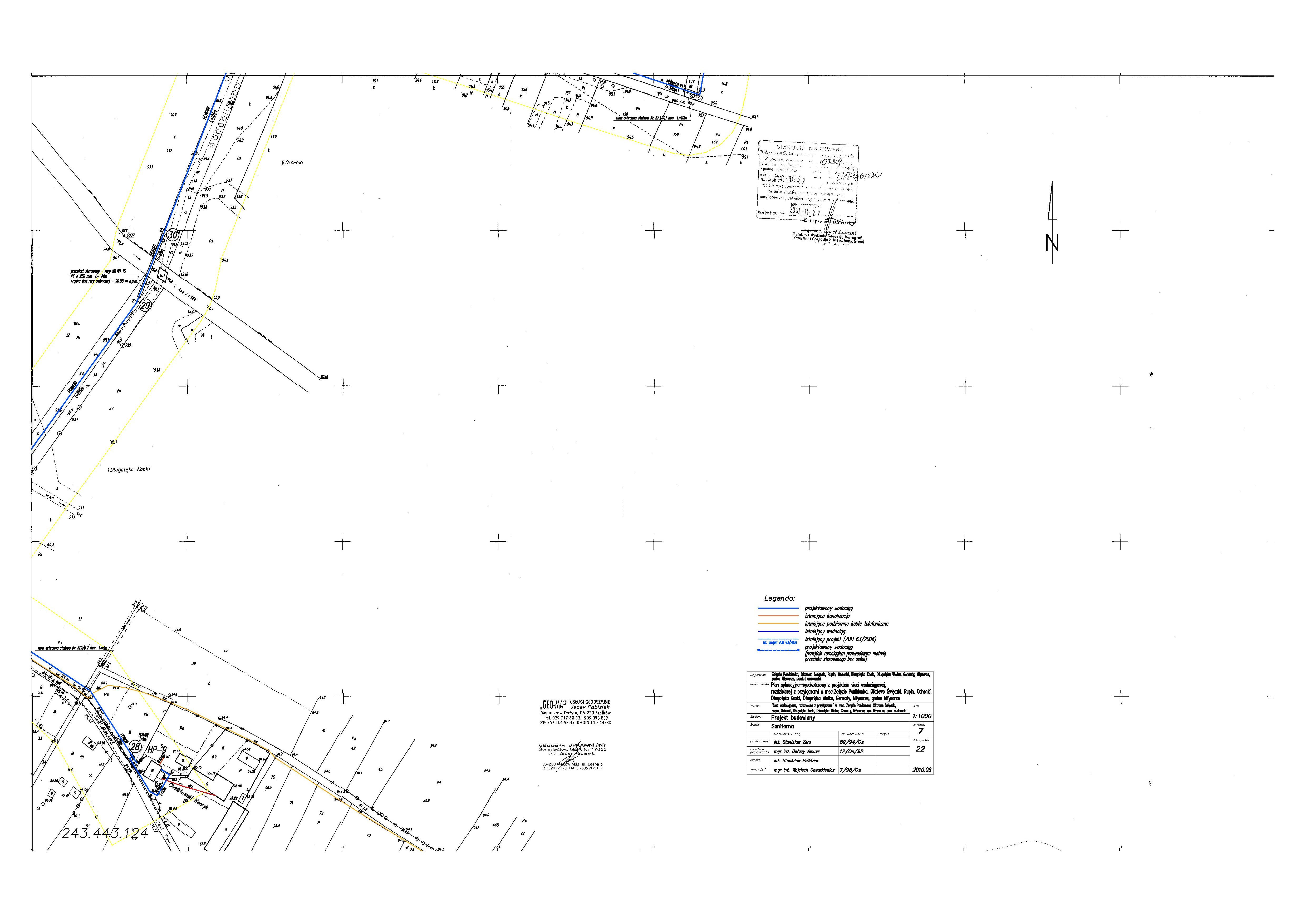
- rys. nr 7
- rys. nr 8
- rys. nr 9
- rys. nr 10
- rys. nr 11
- rys. nr 12
- rys. nr 13
- rys. nr 14
- rys. nr 15
- rys. nr 16
- rys. nr 17
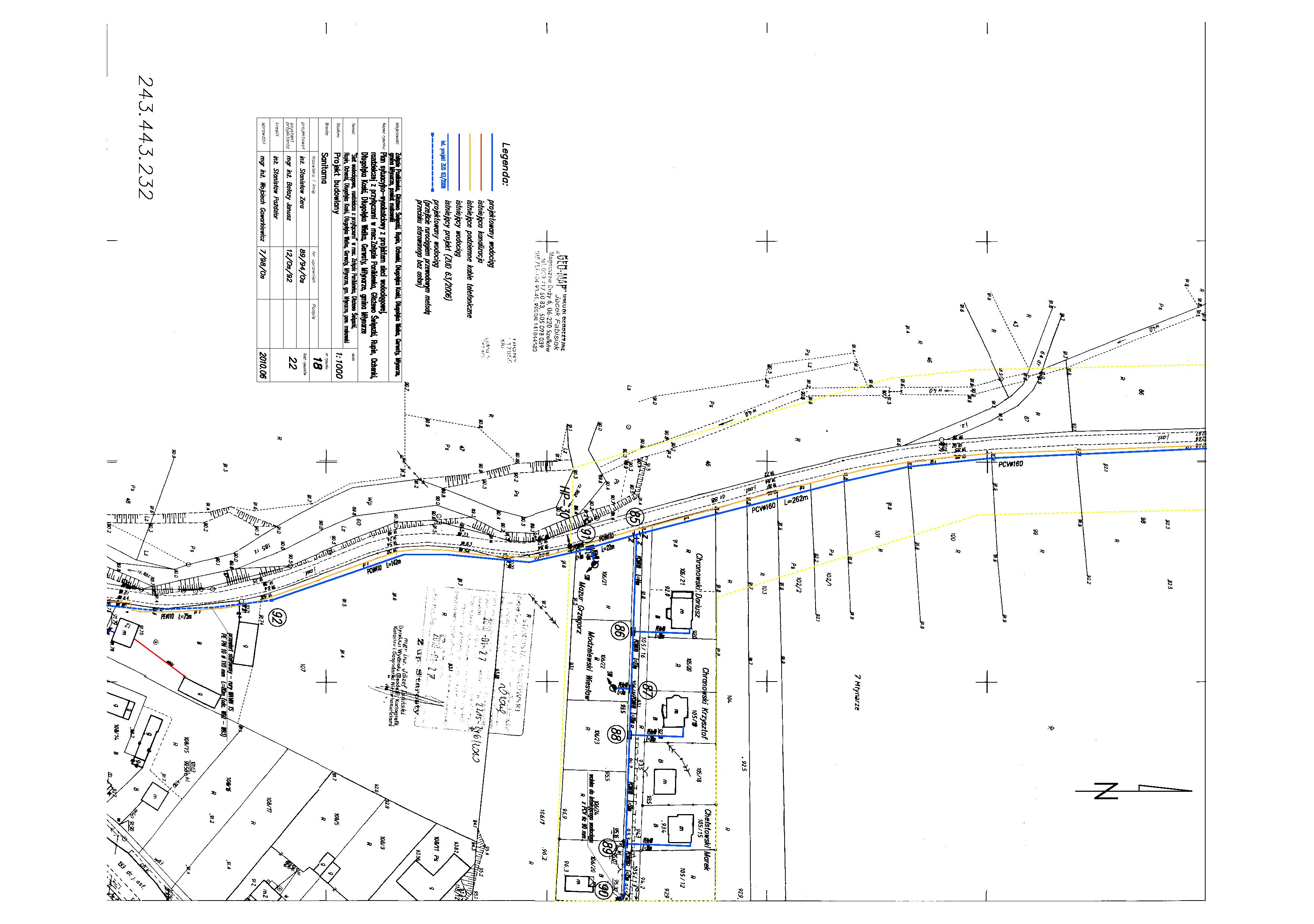
- rys. nr 18
- rys. nr 19
- rys. nr 20
- rys. nr 21
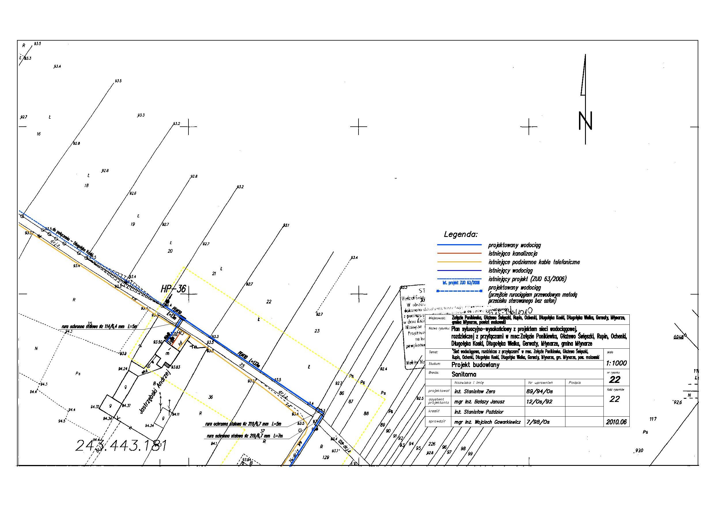
- rys. nr 22
- mapa poglądowa
- opis techniczny do projektu zagospodarowania